ULifeStyle
HK
Travel
Food
Beauty
Blog
e-zone
  • 會員登入/ 登記
  • 主頁
  • 深圳
  • 日本
    • 東京
    • 大阪
    • 京都
    • 神戶
    • 奈良
    • 福岡
    • 沖繩
    • 札幌
    • 名古屋
    • 熊本
    • 箱根
    • 伊豆
    • 鳥取
    • 輕井澤
  • 台灣
    • 台北
    • 台中
    • 高雄
    • 墾丁
    • 台南
    • 宜蘭
    • 台東
    • 南投
  • 韓國
    • 首爾
    • 濟州島
    • 釜山
  • 全球
    • 中國
    • 北京
    • 上海
    • 深圳
    • 廣州
    • 珠海
    • 澳門
    • 泰國
    • 曼谷
    • 蘇梅島
    • 布吉
    • 清邁
    • 芭堤雅
    • 華欣
    • 新加坡
    • 新加坡
    • 馬來西亞
    • 吉隆坡
    • 越南
    • 胡志明市
    • 芽莊市
    • 會安
    • 峴港
    • 河內市
    • 印尼
    • 峇里島
    • 馬爾代夫
    • 馬爾代夫
    • 澳洲
    • 墨爾本
    • 悉尼
    • 塔斯曼尼亞
    • 英國
    • 倫敦
    • 牛津
    • 德國
    • 柏林
    • 瑞士
    • 琉森
    • 蘇黎世
    • 法國
    • 巴黎
    • 荷蘭
    • 阿姆斯特丹
    • 西班牙
    • 巴塞隆拿
    • 奧地利
    • 維也納
    • 比利時
    • 布魯塞爾
    • 意大利
    • 威尼斯
    • 羅馬
    • 米蘭
    • 阿聯酋
    • 杜拜
  • 遊玩情報
  • 全球目的地
  • 主題特集
  • 日本攻略
  • 影片專區
  • App獨家
  • 會員專區
    • 我的資料
    • 會員活動
    • 專享優惠
    • 會員通訊
  • U Lifestyle商戶中心
  • 關於我們
關注我們
立即下載U Lifestyle手機應用程式
App Store Play Store
香港經濟日報版權所有©2026
ULifestyle
HK
Travel
Food
Beauty
Blog
e-zone
下載App
商戶中心
社群打卡攻略
U GO 搵好去處
熱門搜尋:
  • 深圳
  • 澳門
  • 台北
  • 大阪
  • 東京
  • 首爾
  • 曼谷
  • 京都
  • 福岡
  • 廣州
  • 珠海
  • 札幌
UTravel
澳門快閃遊
大灣區快閃遊
機票優惠
內地美食
深圳
深圳

福田羅湖鹽田南山寶安龍崗龍華坪山光明大鵬
日本
Japan Icon 日本旅遊攻略

東京大阪京都神戶奈良福岡沖繩札幌名古屋熊本箱根伊豆鳥取輕井澤
台灣
台灣

台北台中高雄墾丁台南宜蘭台東南投
韓國
韓國

首爾濟州島釜山
全球
向下滑動查看更多目的地
全球

中國
北京上海深圳廣州珠海澳門
泰國
曼谷蘇梅島布吉清邁芭堤雅華欣
新加坡
新加坡
馬來西亞
吉隆坡
越南
胡志明市芽莊市會安峴港河內市
印尼
峇里島
馬爾代夫
馬爾代夫
澳洲
墨爾本悉尼塔斯曼尼亞
英國
倫敦牛津
德國
柏林
瑞士
琉森蘇黎世
法國
巴黎
荷蘭
阿姆斯特丹
西班牙
巴塞隆拿
奧地利
維也納
比利時
布魯塞爾
意大利
威尼斯羅馬米蘭
阿聯酋
杜拜
日本攻略
主題特集
影片專區
會員活動
專享優惠
首頁  >  遊玩情報

相關內容

- 【日本颱風】
  • 最新
  • 熱門
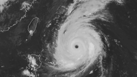
超強颱風「潭美」路徑難預料
【日本颱風】 超強颱風「潭美」路徑難預料 本週末有...
文 : U Travel   |   2018.09.26
日本   |   實用攻略
香港來往大阪航班復飛
【日本颱風】 香港來往大阪航班復飛 各大航空公司最...
文 : U Travel   |   2018.09.14
日本   |   交通
關西機場最新情況/航班資訊
【日本颱風】 關西機場最新情況/航班資訊 料今周內重...
文 : U Travel   |   2018.09.12
日本   |   實用攻略
關西機場料周六恢復一部分國際航線
【日本颱風】 關西機場料周六恢復一部分國際航線 國...
2018.09.07
大阪   |   交通
熱門標籤
  • 深圳
  • 澳門好去處
  • 東京
  • 大阪
  • 台北
  • 曼谷
  • 首爾
  • 大灣區旅遊
  • #UGO搵好去處
  • #澳門玩樂推介
  • #ChillGuide旅遊指南
  • #環球美食社群熱話
  • #限時搶
  • #旅遊團長UU熊
  • #ULifestyle應用程式
  • #UJetso禮物放送
  • #ULifestyle商戶中心

最高瀏覽

更多>
  • 深圳南山區追風滑輪公園粉紙扇花海盛開!免門票隱藏版秘境 附賞花打卡攻略、地鐵交通
  • 深圳8大Staycation酒店推介 $52.8起絕美海景/連雙人自助餐
  • 廣州飲茶好去處|廣州茶樓8大推薦!人均¥30起歎CP值高全天候茶市+百年老字號
U Travel
一站式旅遊及消閒資訊網站
Apple Store Google Play
澳門快閃遊 大灣區快閃遊 機票優惠 內地美食 深圳 日本 台灣 韓國 全球 日本攻略 主題特集 影片專區 會員活動 專享優惠
熱門城市
大阪 台北 香港 東京 曼谷 首爾 深圳 京都 福岡 濟州
熱門標籤
深圳 澳門好去處 東京 大阪 台北 曼谷 首爾 大灣區旅遊 #UGO搵好去處 #澳門玩樂推介 #ChillGuide旅遊指南 #環球美食社群熱話 #限時搶 #旅遊團長UU熊 #ULifestyle應用程式 #UJetso禮物放送 #ULifestyle商戶中心
香港經濟日報版權所有©2026