超強颱風樺加沙來勢洶洶,可能成為今年南海及西北太平洋的「風王」。其名稱由菲律賓氣象部門提供,意指「快速移動」,並首次使用。隨著颱風逼近香港,天文台考慮發出8號風球。樺加沙在昨日完成眼壁置換,風眼直徑約70公里,面積相當於三個香港,中心附近風速高達每小時230公里。此颱風的強度和規模令人關注,尤其是其對菲律賓北部的影響,讓加拉延島顯得相對渺小。
樺加沙 名字意思已來勢洶洶
超強颱風樺加沙來勢洶洶,其風名也相當特別,原因何在?台灣氣象專家林得恩在其FB專頁提到,樺加沙有可能成為今年南海及西北太平洋的「風王」。這個名稱由菲律賓氣象部門提供,意指「快速移動」,希望風能如其名。值得一提的是,這是該名稱第一次使用,取代了2019年在日本關東造成嚴重損害的「哈吉貝」。
樺加沙完成眼壁置換 強度再進化
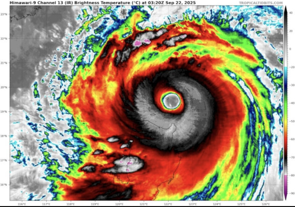
隨著樺加沙逐漸逼近香港,天文台考慮於明日下午1時至4時發出8號風球。樺加沙在昨夜至今日凌晨(22日至23日)完成了眼壁置換,並且「進化」出更巨型的風眼。截至今午3時,樺加沙正橫掃菲律賓北部的加拉延島,風眼直徑約70公里,面積約3,800平方公里,相當於三個香港的總面積(香港面積1,115平方公里)。
這股風暴在菲律賓北部群島附近,中心附近的持續風速高達每小時230公里。根據昨日的衛星雲圖,樺加沙的風眼在同一尺度下顯著變大,從一個「針眼」演變為「巨眼」。
樺加沙在昨夜至凌晨經歷了眼壁置換現象,也稱為眼壁更替周期。根據資料,這種現象通常發生在成熟的颱風中,當原有的眼牆外形成新眼壁並逐漸取代內眼壁,若置換成功,可能進一步增強強度,反之則可能減弱。
樺加沙風眼覆蓋全香港綽綽有餘
在樺加沙圓潤的風眼下,加拉延島顯得相當渺小。從衛星雲圖可見,風眼至少還能容納約8個加拉延島,直徑約70公里,堪稱大城市的巨獸級別。相比之下,香港面積僅有1,115平方公里,澳門則只有118.3平方公里,樺加沙的風眼覆蓋香港可謂綽綽有餘。
UTravel熱門旅遊話題
↓主題追蹤人次突破二百萬!! 即刻重溫精彩時刻 ↓
附搶飛連結🔗不再錯過演出消息‼️

















